au coeur de l'actualité météo là où déferle la houle et rugit la mer, contre vents et marées...
MONDE
Cyclone
Ouragan
Typhon
Tempête
Dépression
Perturbation
LA SAISON CYCLONIQUE 2025 DE L'HÉMISPHÈRE NORD
 
avec les INFORMATIONS GÉNÉRALES de la saison
La saison qui a débuté le 29 mai 2025 et s'est terminé le 1er décembre a comptabilisé au final 64 systèmes cycloniques
dont 30 tempêtes tropicales (TT) et 34 cyclone/ouragan/typhon (CT) dont 4 EXTREMES avec une répartition suivante :
- OIN (Océan Indien Nord de 45°Est à 100°Est) : 4 systèmes cycloniques dont 3 tempêtes tropicales & 1 cyclone (moyenne annuelle 5.11 systèmes)
- OPNO (Océan Pacifique Nord-Ouest de 100°Est à 180°Est) : 27 systèmes cycloniques dont 10 tempêtes tropicales & 17 typhons dont 1 EXTREME (moyenne annuelle 25.64 systèmes)
- OPNE (Océan Pacifique Nord-Est de 180°Ouest à 100°Ouest) : 20 systèmes cycloniques dont 9 tempêtes tropicales & 11 ouragans dont 0 EXTREME (moyenne annuelle 16.42 systèmes)
- OAN (Océan Atlantique Nord de 100°Ouest à 10°Ouest) : 13 systèmes cycloniques dont 8 tempêtes tropicales & 5 ouragans dont 3 EXTREMES (moyenne annuelle 14.19 systèmes)

Il faut savoir que la moyenne de l'Hémisphère Nord sur ces 37 dernières années est de 61.35 systèmes cycloniques dont 33.11 cyclones, ouragans & typhons & 28.24 tempêtes tropicales
tout en sachant qu'il peut y avoir une variation entre la plus "forte" saison cyclonique qui fut 2005 avec ses 75 systèmes cycloniques et
la plus "faible" saison cyclonique
qui fut 2010 avec ses 46 systèmes nommés

et que la saison cyclonique 2024 a connu 61 systèmes cycloniques dont 30 tempêtes tropicales et 31 cyclones/ouragans/typhons

Ainsi une saison cyclonique 2025 au dessus de la moyenne en nombre de systèmes et se classant en 14ème place des saisons les plus actives de ces 38 dernières années
 
avec les CARTES DE TRAJECTOIRE DES SYSTÈMES TROPICAUX (tempête, cyclone, ouragan et typhon) de la saison
Océan Indien Nord
de 45° Est à 100° Est
Océan Pacfique Nord-Ouest
de 100° Est à 180° Est
Océan Pacifique Nord-Est
de 180° Ouest à 100° Ouest
Océan Atlantique Nord
de 100° Ouest à 10° Ouest
 
avec le DÉTAIL DES SYSTÈMES TROPICAUX (tempête, cyclone, ouragan et typhon) de la saison
Nom
Bassin
Date
Vent en surface
sur 1 mn en km/h
Pression minimum
en hPa
Type
ALVIN
Pacifique Nord-Est
29 - 31 mai
95
1009
TT
BARBARA
Pacifique Nord-Est
8 - 11 juin
120
991
CT
COSME
Pacifique Nord-Est
8 - juin
110
992
TT
WUTIP
Pacifique Nord-Ouest
11 - 14 juin
120
979
CT
DALILA
Pacifique Nord-Est
13 - 16 juin
100
993
TT
ERICK
Pacifique Nord-Est
17 - 20 juin
230
930
CT
SEPAT
Pacifique Nord-Ouest
23 - 24 juin
70
1002
TT
ANDREA
Atlantique Nord
24 - 25 juin
65
1004
TT
BARRY
Atlantique Nord
29 juin
75
1006
TT
FLOSSIE
Pacifique Nord-Est
29 juin
185
962
CT
MUN
Pacifique Nord-Ouest
2 - 7 juillet
110
982
TT
CHANTAL
Atlantique Nord
5 - 6 juillet
95
1006
TT
DANAS
Pacifique Nord-Ouest
4 - 8 juillet
165
958
CT
NARI
Pacifique Nord-Ouest
11 - 14 juillet
95
984
TT
WIPHA
Pacifique Nord-Ouest
18 - 22 juillet
120
977
CT
FRANCISCO
Pacifique Nord-Ouest
23 - 24 juillet
75
987
TT
CO-MAY
Pacifique Nord-Ouest
23 - 30 juillet
130
974
CT
KROSA
Pacifique Nord-Ouest
23 juillet - 3 août
150
962
CT
IONA
Pacifique Nord-Est
28 juillet - 1er août
205
957
CT
KELI
Pacifique Nord-Est
28 - 30 juillet
65
1005
TT
GIL
Pacifique Nord-Est
31 juillet - 3 août
120
991
CT
BAILU
Pacifique Nord-Ouest
3 août
65
998
TT
DEXTER
Atlantique Nord
4 - 7 août
85
999
TT
HENRIETTE
Pacifique Nord-Est
4 - 13 août
140
986
CT
IVO
Pacifique Nord-Est
6 - 10 août
100
999
TT
PODUL
Pacifique Nord-Ouest
7 - 13 août
175
960
CT
ERIN
Atlantique Nord
11 - 22 août
260
915
CT
LINGLING
Pacifique Nord-Ouest
20 - 21 août
70
996
TT
KAJIKI
Pacifique Nord-Ouest
22 - 25 août
175
964
CT
FERNAND
Atlantique Nord
23 - 28 août
95
1000
TT
JULIETTE
Pacifique Nord-Est
25 - 28 août
110
994
TT
NONGFA
Pacifique Nord-Ouest
30 août
75
993
TT
LORENA
Pacifique Nord-Est
31 août - 10 septembre
230
944
CT
LORENA
Pacifique Nord-Est
2 - 5 septembre
140
981
CT
PEIPAH
Pacifique Nord-Ouest
4 - 5 septembre
95
990
TT
TAPAH
Pacifique Nord-Ouest
6 - 8 septembre
120
984
CT
MARIO
Pacifique Nord-Est
12 - 13 septembre
65
1006
TT
MITAG
Pacifique Nord-Ouest
16 - 19 septembre
85
994
TT
GABRIELLE
Atlantique Nord
17 - 25 septembre
220
948
CT
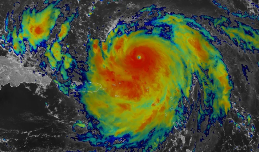
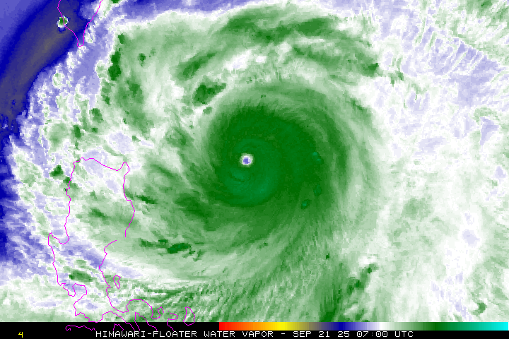
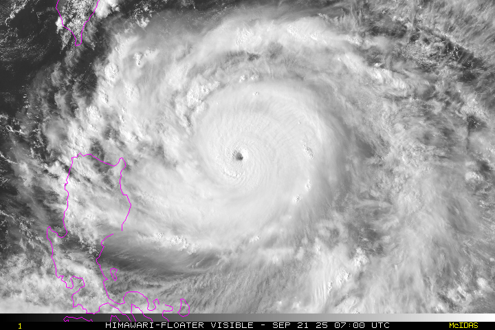
RAGASA
Pacifique Nord-Ouest
18 - 25 septembre
285
879
CT
NEOGURI
Pacifique Nord-Ouest
18 - 29 septembre
230
936
CT
NARDA
Pacifique Nord-Est
21 - 28 septembre
165
970
CT
HUMBERTO
Atlantique Nord
24 septembre - 1er octobre
260
924
CT
BUALOI
Pacifique Nord-Ouest
24 - 28 septembre
155
977
CT
IMELDA
Atlantique Nord
28 septembre - 1er octobre
155
966
CT
OCTAVE
Pacifique Nord-Est
30 septembre - 9 octobre
140
984
CT
MATMO
Pacifique Nord-Ouest
1 - 5 octobre
165
966
CT
SHAKHTI
Océan Indien Nord
3 - 6 octobre
130
976
CT
PRISCILLA
Pacifique Nord-Est
4 - 10 octobre
175
958
CT
HALONG
Pacifique Nord-Ouest
5 - 9 octobre
220
935
CT
JERRY
Atlantique Nord
7 - 11 octobre
100
999
TT
NAKRI
Pacifique Nord-Ouest
8 - 14 octobre
135
974
CT
RAYMOND
Pacifique Nord-Est
9 - 11 octobre
95
998
TT
KAREN
Atlantique Nord
10 octobre
75
998
TT
LORENZO
Atlantique Nord
13 - 15 octobre
95
999
TT
FENGSHEN
Pacifique Nord-Ouest
18 - 22 octobre
110
990
TT
SONIA
Pacifique Nord-Est
25 - 29 octobre
85
1001
TT
MONTHA
Océan Indien Nord
26 - 29 octobre
100
988
TT
MELISSA
Atlantique Nord
21 - 31 octobre
295
892
CT
KALMAEGI
Pacifique Nord-Ouest
1 - 6 novembre
215
948
CT
FUNG-WONG
Pacifique Nord-Ouest
6 - 13 novembre
215
943
CT
SENYAR
Océan Indien Nord
25 - 26 novembre
85
998
TT
DITWAH
Océan Indien Nord
27 - 29 novembre
80
1001
TT
KOTO
Pacifique Nord-Ouest
25 novembre - 1er décembre
160
965
CT
 
avec les CYCLONE EXTREME, TYPHON EXTREME & OURAGAN EXTREME (vents = ou > 240 km/h) de l'Hémisphère Nord pour cette saison
A découvrir également tous les SYSTÈMES CYCLONIQUES les plus MÉMORABLES & les plus EXTREMES ayant eu lieu sur le GLOBE en 2025
ERIN dans le bassin Atlantique Nord au pic de son intensité le 16 août avec des vents sur 1 minute de 140 knots = 260 km/h
RAGASA dans le bassin Pacifique Nord-Ouest au pic de son intensité le 21 septembre avec des vents sur 1 minute de 155 knots = 285 km/h
HUMBERTO dans le bassin Atlantique Nord au pic de son intensité le 27 septembre avec des vents sur 1 minute de 140 knots = 260 km/h
MELISSA dans le bassin Atlantique Nord au pic de son intensité le 28 octobre avec des vents sur 1 minute de 160 knots = 295 km/h
Le site CYCLONEXTREME est depuis 2003 un site personnel et ne dépend d'aucun centre météorologique officiel
Il ne remplace en aucune façon les organismes gouvernementaux de prévisions cycloniques et d'alertes