au coeur de l'actualité météo là où déferle la houle et rugit la mer, contre vents et marées...
BASSIN OCÉAN INDIEN SUD-OUEST
Réunion
Maurice
Mayotte
Madagascar
Rodrigues
Seychelles
Comores
Mozambique
LA SAISON CYCLONIQUE 2025-2026 DU BASSIN OCÉAN INDIEN SUD-OUEST
 
avec les INFORMATIONS GÉNÉRALES de la saison
La saison cyclonique 2025-2026 pour le bassin Océan Indien Sud-Ouest, sur le site CYCLONEXTREME, commencera le 1er novembre 2025 et se terminera le 31 mai 2026,
dates qui correspondent à la période annuelle la plus propice aux systèmes cycloniques soit 7 mois
Pour le C.M.R.S de Météo France Réunion (M.F.R.) la saison cyclonique commence le 15 novembre 2025 pour se terminer le 30 avril 2026
avec une exception pour l'île Maurice et les Seychelles dont la date de fin de saison cyclonique est fixée au 15 mai
2026

L'activité cyclonique moyenne
est de 9.59 systèmes cycloniques dont 5.10 cyclones & 4.49 tempêtes tropicales ce qui correspond à la moyenne des 41 dernières années

tout en sachant qu'il peut y avoir une variation entre les plus "fortes" saisons cycloniques qui furent 2018-2019 & 1993-1994 avec leurs 15 systèmes cycloniques et
la plus "faible" saison cyclonique
qui fut 2010-2011 avec ses 3 systèmes nommés
Aurons nous cette année une année similaire à celle de 2024-2025 qui fut
une saison cyclonique nettement au dessus de la norme avec 13 systèmes tropicaux nommés
dont
4 tempêtes tropicales et 9 cyclones tropicaux

Retrouvez les prévisions d'activité cyclonique établies pour cette saison


Les noms des systèmes tropicaux pour l'année seront attribués par les différents centres météos responsables

Ainsi les noms utilisés pour cette saison seront :
AWO BLOSSOM CHENGE DUDZAI EWESTE FYTIA GEZANI HORACIO Indusa Juluka Kundai Lisebo Michel Nousra Olivier Pokera Quincy
Rebaone Salama Tristan Ursula Violet Wilson Xila Yekela Zaina

Un système dépressionnaire est baptisé
lorsque les vents moyens près du centre atteignent le seuil de 62 km/h ou 33 knots ce qui correspond au stade de tempête tropicale
 
avec le DÉTAIL DES SYSTÈMES TROPICAUX (tempête & cyclone) de la saison
Nom
Carte de trajectoire
(Wikipédia)
Image
satellite
Informations
Pression
en hPa
Vent moyen
en km/h
Date
AWO
1er système nommé et 1ère tempête de la saison 2025-2026 qui a évolué
au très large est des Seychelles et
qui rentre dans le TOP 2 des systèmes
les plus précoces du bassin Océan Indien Sud-Ouest
depuis 1984
derrière ABELA qui a évolué du 16-19 juillet 2016 également au stade
de tempête ainsi que dans le TOP 3 de l'Hémisphère Sud depuis 1984
(le plus précoce ayant été LINDSAY dans le bassin Océan Indien Sud-Est
le 10 juillet 1996)
TEMPETE TROPICALE
1000
75
7 - 8 août
BLOSSOM
2ème système nommé et 2ème tempête de la saison 2025-2026
qui a évolué à plus de 1000 km à l'est sud-est des Seychelles
qui rentre dans le TOP 3 des systèmes les plus précoces du bassin Océan Indien Sud-Ouest depuis 1984 ainsi que dans TOP 5 de l'Hémisphère Sud depuis 1984 (le plus précoce ayant été LINDSAY dans le bassin Océan
Indien Sud-Est le 10 juillet 1996)
TEMPETE TROPICALE
1001
65
9 - 11 septembe
CHENGE
3ème système nommé et 3ème tempête de la saison 2025-2026
qui est passé à 500 km au sud des Seychelles
TEMPETE TROPICALE
978
110
18 - 25 octobre
GRANT *
4ème système nommé et 1er cyclone de la saison 2025-2026
qui a d'abord évolué dans le bassin Océan Indien Sud-Est
puis en plein océan et au large nord des Mascareignes
CYCLONE TROPICAL
944
220
27 décembre -
2 janvier
DUDZAI
5ème système nommé et 2ème cyclone de la saison 2025-2026
qui a atteint le stade de CYCLONE PUISSANT en plein océan
puis est passé au stade de tempête tropicale à 150 km au sud
de Rodrigues et 250 km au sud-est de Maurice
CYCLONE TROPICAL
937
230
10 - 21 janvier
EWESTE
6ème système nommé et 4ème tempête de la saison 2025-2026
qui s'est formée près des côtes sud-ouest de Madagascar
avant d'atterrir au sud de Toliara
TEMPETE TROPICALE
996
95
20 - 21 janvier
FYTIA
7ème système nommé et 3ème cyclone de la saison 2025-2026
qui a atterri sur la côte nord-ouest de Madagascar à pleine puissance
pour ensuite la traverser avant de se dissiper au large sud-ouest
de la Réunion
CYCLONE
TROPICAL
962
185
29 janvier -
4 février
GEZANI
8ème système nommé et 4ème cyclone de la saison 2025-2026
qui a atterri sur la côte est de Madagascar à pleine puissance puis
a traversé celle-ci pour ensuite allé "surfer" sur les côtes sud-est
du Mozambique pour aller ensuite naviguer près des côtes sud-ouest
de Madagascar avant de s'avcuer vers le sud
CYCLONE TROPICAL
953
210
8 - 18 février
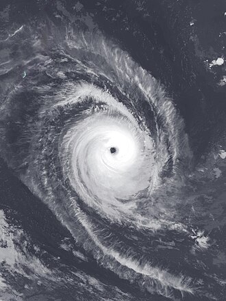
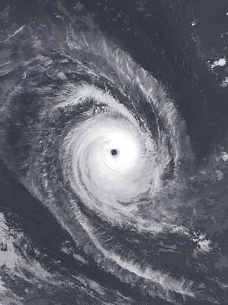
HORACIO
9ème système nommé et 5ème cyclone de la saison 2025-2026
qui a atteint le stade de CYCLONEXTREME et le pic de son intensité
le 23 février à 200 km des côtes sud-est de Rodrigues et
l'a maitenu quelques heures
CYCLONE EXTREME
920
255
20 - 26 février
* voir océan indien sud-est car système "commum" : naissance océan indien sud-est puis évolution dans océan indien sud-ouest ou inversement
 
avec la CARTE DE TRAJECTOIRE DES SYSTÈMES TROPICAUX & LE RÉSUMÉ de la saison
La saison cyclonique 2025-2026 qui a ainsi débuté le 7 aôut ! soit 3 mois et 1 semaine
avant le début officiel et
comptabilise pour le moment 9 systèmes tropicaux nommés
dont 0 en cours, 4 tempêtes tropicales et 5 cyclones tropicaux dont 1 EXTREME



Les SYSTÈMES CYCLONIQUES
ayant impacté la Réunion & Mayotte furent :



Les CYCLONES EXTREMES (vents > à 130 knots = 240 km/h)
& PUISSANTS (vents entre 120 = 222 km/h & 129 knots = 239 km/h)
du bassin Océan Indien Sud-Ouest furent pour cette saison :

- DUDZAI avec des vents moyens de 230 km/h, le 16 janvier



Les SYSTÈMES CYCLONIQUES MÉMORABLES de ce bassin et de l'Hémisphère Sud :
- AWO qui a évolué du 7 au 8 août au très large est des Seychelles et qui rentre
dans le TOP 2 des systèmes les plus précoces du bassin Océan Indien Sud-Ouest
depuis 1984 derrière ABELA qui a évolué du 16-19 juillet 2016 également au stade
de tempête ainsi que dans le TOP 3 de l'Hémisphère Sud depuis 1984 (le plus précoce
ayant été LINDSAY dans le bassin Océan Indien Sud-Est le 10 juillet 1996)

- BLOSSOM qui a évolué du 9 au 11 septembre au très large est sud-est des Seychelles
et qui rentre dans le TOP 3 des systèmes les plus précoces du bassin Océan Indien
Sud-Ouest
depuis 1984 ainsi que dans TOP 5 de l'Hémisphère Sud depuis 1984
(le plus précoce ayant été LINDSAY dans le bassin Océan Indien Sud-Est
le 10 juillet 1996)



A découvrir tous les SYSTÈMES CYCLONIQUES les plus MÉMORABLES
2025 & 2026
ainsi que les plus EXTREMES 2025 & 2026 ayant eu lieu sur le GLOBE
 
avec les images satellites des CYCLONES EXTREMES (vents = ou > 130 knots = 240 km/h) de la saison
- HORACIO CYCLONE EXTREME au pic de son intensité le 23 février avec des vents moyens sur 1 minute de 138 knots = 255 km/h
 
Le site CYCLONEXTREME est depuis 2003 un site personnel et ne dépend d'aucun centre météorologique officiel
Il ne remplace en aucune façon les organismes gouvernementaux de prévisions cycloniques et d'alertes