|
HISTORIQUE
DES SAISONS CYCLONIQUES DEPUIS 2003 POUR LE BASSIN PACIFIQUE
NORD-OUEST
|
Ci
dessous vous retrouvez les saisons cycloniques
depuis 2003 avec les cartes de trajectoires, les systèmes
cycloniques et le détail des saisons
Pour
plus d'infos sur les différentes classifications utilisées
pour les systèmes cycloniques rendez sur la page
dédiée
|
|
Saison
cyclonique 2024
|
La
saison
cyclonique 2024, qui commence officiellement
le
1er janvier et qui se termine le 31 décembre,
a ainsi débuté le 25 mai
et
s'est terminée le 25 décembre,
et,
a comptabilisé au final 26
systèmes nommés dont
12 tempêtes
tropicales & 14 typhons avec
6 EXTREMES
tout en sachant que la moyenne annuelle sur
les 36 dernières années est de
25.64 systèmes cycloniques nommés dont
15.50 typhons & 10.14
tempêtes tropicales
Cette
saison se situe dans la moyenne annuelle
et les prévisions d'avant saison avaient anticipé
une saison légèrement en dessous de la moyenne,
et, elle se positionne ainsi
dans le milieu de tableau des saisons
cycloniques de ces 37 dernières années,
au même titre que la saison cyclonique 2016 et ses 26
systèmes cycloniques
|
|
Saison
cyclonique 2023
|
La
saison
cyclonique 2023, qui officiellement
débute
le 1er janvier et se termine le 31 décembre, a ainsi
débuté le 20 avril et
s'est terminé le 17 décembre
avec
17 systèmes nommés
dont 5
tempêtes & 12 typhons.
Au
final une saison très en dessous de la moyenne
annuelle
de ces 35 dernières années
qui est de 25.89 systèmes nommés
dont 15.60 typhons &
10.29 tempêtes tropicales.
Concernant les prévisions d'activité cyclonique pour cette
saison
elles se sont avérés totalement non conformes...
|
|
Saison
cyclonique 2022
|
La
saison
cyclonique 2022 a ainsi débuté le 8
avril soit 4 mois et 8 jours après le début
officiel fixé au 1er janvier 2022 et s'est terminé
le 12 décembre
soit 19 jours avant la fin officielle fixée au 31 décembre
avec au final 25
systèmes cycloniques dont
13 tempêtes tropicales et 12
typhons
Ce fut ainsi une saison à
peu près dans la moyenne de ces 34 dernières
années
Les
systèmes cycloniques les plus puissants furent
:
HINNAMNOR & NORU
avec vents sur 1 minute de 255 km/h (140 knots) respectivement
au mois d'août et septembre 2022
Les systèmes cycloniques remarquables furent
:
MUIFA qui est le typhon le plus puissant à avoir
frappé Shangai depuis le typhon GLORIA en 1949 !
NORU qui est passé du
stade de tempête (vents 95 km/h) à celui de typhon
extrême (vents de 260 km/h) en 24h
|
|
Saison
cyclonique 2021
|
|
Carte
des systèmes tropicaux
|
Résumé
de la saison cyclonique
|
 |
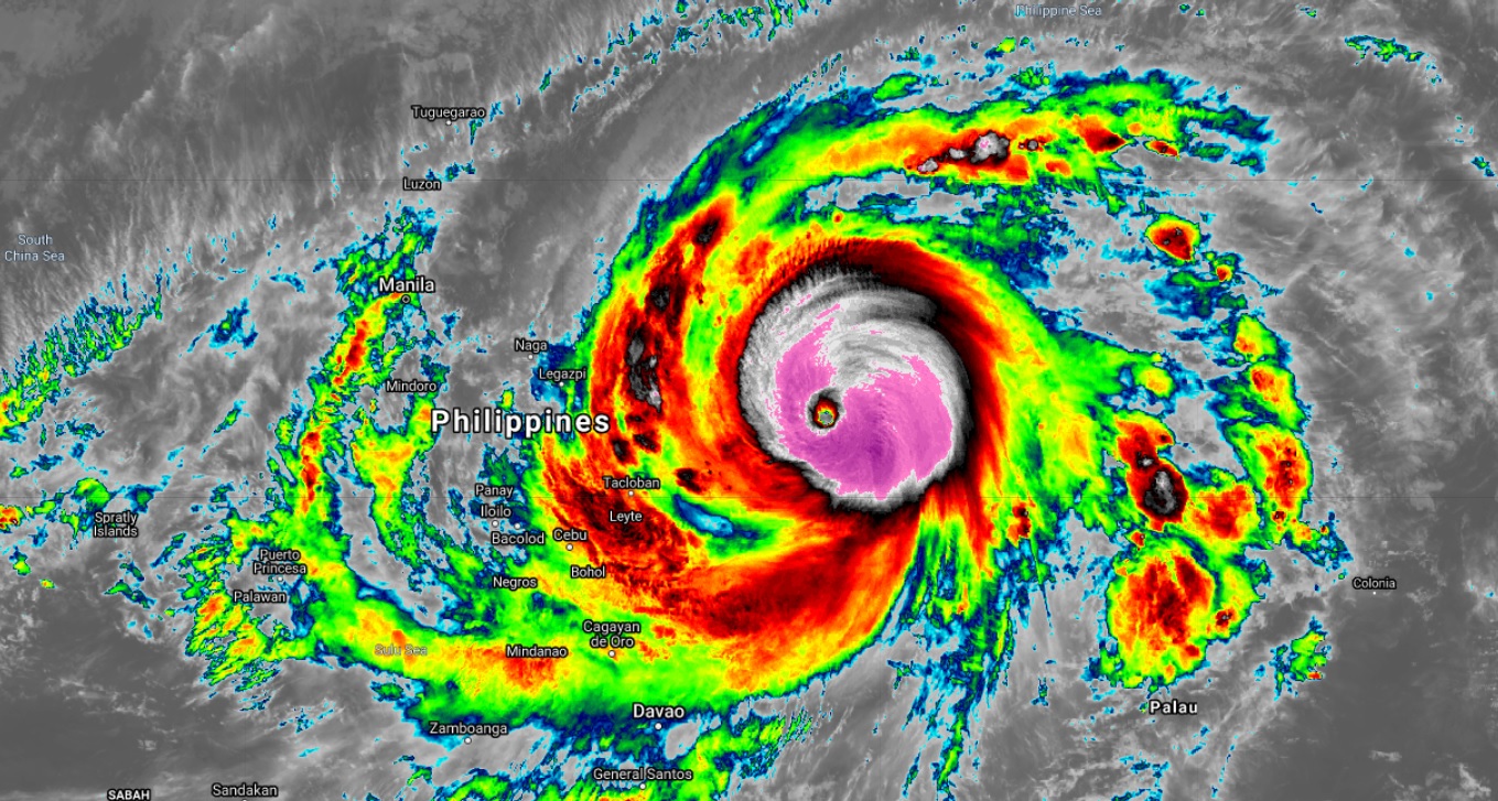
La
saison cyclonique débutera
officiellement le 1er
janvier 2021
et se terminera le 31 décembre
2021
Sera t-elle du même format que la saison cyclonique
2020 qui a compté 23
systèmes nommés
dont 11 tempêtes
tropicales et 12 typhons
ou dans la norme tout en sachant que
la moyenne annuelle des 33 dernières
années est de 26.03
systèmes cycloniques
dont 15.85 typhons ?
La saison cyclonique
a ainsi débuté le 18 février
2021
et s'est terminé le 20 décembre avec
au final 22
systèmes cycloniques
dont 11 tempêtes
tropicales et 11
typhons
soit au final une
saison cyclonique nettement inférieure
à la moyenne
Le
système cyclonique le plus puissant
fut :
*SURIGAE avec vents sur 1 minute de 305 km/h
(165 knots)
au mois d'avril 2021
Les systèmes cycloniques remarquables
furent :
*SURIGAE qui
- est
devenu un typhon
extrême (vents > à 240 km/h) à
le 17 avril 6h00 UTC se situant alors
à 500 km à l'est des Philippines, et
le 1er système extrême de la saison cyclonique
2021
pour le bassin Pacifique Nord-Ouest ainsi que pour
la
zone Hémisphère Nord
- a atteint son pic d'intensité le 17 avril
à 18h00 UTC avec des vents sur 1 minute de
305 km/h,
des rafales de 360 km/h et une pression en son centre
de 888 hPa (photos 1,
2,
3
& 4)
et alors devient ainsi le typhon le plus puissant
pour un mois d'avril et également l'un
des systèmes cycloniques les plus puissants
avec une pression inférieur à 890 hPa
en ce mois d'avril
- qui
du 18 avril 6h00 UTC jusqu'au 21 avril 6h00 UTC, a
"surfé" sur 360 km le long des côtes
Est & Nord-Est des Philippines à une distance
se situant entre 210 et 350 km des côtes
* RAI qui
- a
atteint le stade de typhon extrême (vents >
à 240 km/h), par 2 fois, une 1ère fois
juste
avant sa traversée des Philippines avec un
pic de vents à 255 km/h qu'il a ensuite impacté
durant toute son parcours avec des vents de 200 km/h
puis ensuite au sud-est des côtes
du Vietnam avec un pic de vents à 265 km/h,
qu'il a ensuite longé au stade de typhon
- a causé pour ces deux pays d'énormes
dégats et la mort de plus de 400 personnes
|
|
|
Détails
des systèmes cycloniques
|
|
Nom
|
Carte
de trajectoire
|
Image
satellite
|
Informations
|
|
Pression
en
hPa
|
Vent
moyen
en km/h
|
Date
|
|
DUJUAN
|
|
|
1er
système tropical nommé et 1ère
tempête tropicale
de la saison 2021 qui a atterri puis évolué
sur les Philippines
au stade de dépression tropicale puis de perturbation
|
Tempête
tropicale
|
991
|
85
|
18
- 22 février
|
|
SURIGAE
|
|
|
2ème
système tropical nommé et 1er typhon de
la saison 2021
qui a atteint le stade de typhon extrême et est
devenu aussi
pour un mois d'avril le typhon le plus puissant et l'un
des systèmes cycloniques mondiaux les plus puissants
qui a causé au final la
mort de 10 personnes et d'importants dégats lors
de son périple
|
Typhon
extrême
|
888
|
305
|
14
- 24 avril
|
|
CHOI-WAN
|
|
|
3ème
système tropical nommé et 2ème
tempête de la saison 2021
qui a traversé les Philippines puis est passé
sur le sud
de Taiwan avant de s'affaiblir puis se dissiper au sud
du Japon
causant au final la mort de 10 personnes et d'importants
dégats
dus au pluies intenses
|
Tempête
tropicale
|
998
|
75
|
31
mai - 5 juin
|
|
KOGUMA
|
|
|
4ème
système cyclonique nommé et 3ème
tempête tropicale
de la saison 2021 qui a atterri sur le Vietnam au stade
de tempête tropicale avec des vents de 65 km/h
|
Tempête
tropicale
|
996
|
65
|
12
- 13 juin
|
|
CHAMPI
|
|
|
5ème
système cyclonique nommé et 2ème
typhon de la saison 2021
qui a légèrement impacté les îles
Mariannes en début de parcours
|
Typhon
|
987
|
120
|
23
- 27 juin
|
|
IN-FA
|
|
|
6ème
système cyclonique nommé et 3ème
typhon de la saison 2021
qui a d'abord traversé et impacté les
îles sud du Japon puis atterri
sur la province du Zhejiang, Chine causant au final
d'importants dégats et la mort de 6 personnes
|
Typhon
|
951
|
175
|
18
- 26 juillet
|
|
CEMPAKA
|
|
|
7ème
système cyclonique nommé et 4ème
typhon de la saison 2021
qui a atterri avec des vents de 135 km/h sur la province
du Guangdong amenant d'importantes pluies
|
Typhon
|
970
|
135
|
18
- 21 juillet
|
|
NEPARTAK
|
|
|
8ème
système cyclonique nommé et 4ème
tempête
de la saison 2021 qui a atterri puis traversé
le nord du Japon
|
Tempête
tropicale
|
980
|
85
|
23
- 27 juillet
|
|
LUPIT
|
|
|
9ème
système cyclonique nommé et 5ème
tempête
de la saison 2021 qui a impacté les côtes
chinoises et Taiwan
puis a traversé le Japon du sud au nord laissant
derrière lui
d'importants dégats
|
Tempête
tropicale
|
976
|
100
|
3
- 9 août
|
|
MIRINAE
|
|
|
10ème
système cyclonique nommé et 6ème
tempête
de la saison 2021 qui a évolué au large
du Japon
|
Tempête
tropicale
|
980
|
85
|
5
- 9 août
|
|
NIDA
|
|
|
11ème
système cyclonique nommé et 7ème
tempête
de la saison 2021 qui a évolué très
au large des côtes est
du Japon
|
Tempête
tropicale
|
985
|
100
|
5
- 7 août
|
|
OMAIS
|
|
|
12ème
système cyclonique nommé et 8ème
tempête
de la saison 2021 qui a finit sa course sur la Corée
du Sud
|
Tempête
tropicale
|
993
|
95
|
13
- 20 août
|
|
CONSON
|
|
|
13ème
système cyclonique nommé et 5ème
typhon de la saison
qui a d'abord atterri au stade de typhon sur les côtes
est des Philippines puis traversé ce pays au
stade de tempête avant de
se diriger vers le Vietnam où il s'est affaibli
juste avant son atterrissage, avec au final de très
importants dégats
et un bilan de 15 morts
|
Typhon
|
994
|
120
|
06
-12 septembre
|
|
CHANTHU
|
|
|
14ème
système cyclonique nommé et 6ème
typhon de la saison
qui a atteint son pic d'intensité de typhon extrême
lorsqu'il se situait
à 120 km des côtes nord des Philippines
puis a "surfé" sur les côtes
est de Taiwan au stade de puissant typhon avant de stationner
près de Shangai puis de traverser le Japon, causant
au final
de très lourds dégats pour tous ces pays
et îles
|
Typhon
extrême
|
908
|
275
|
06
- 17 septembre
|
|
DIANMU
|
|
|
15ème
système cyclonique nommé et 9ème
tempête tropicale
de la saison qui fut une tempête d'un jour
et qui a atterri au stade de tempête sur le Vietnam
avant de s'y dissiper
|
Tempête
tropicale
|
1001
|
75
|
23
septembre
|
|
MINDULLE
|
|
|
16ème
système cyclonique nommé et 7ème
typhon
de la saison qui a évolué en plein océan
et a atteint le stade
de typhon extrême
|
Typhon
extrême
|
908
|
265
|
23
septembre
- 1er octobre
|
|
LIONROCK
|
|
|
17ème
système cyclonique nommé et 10ème
tempête tropicale
de la saison qui a traversé l'île d'Hainan
avant de finir sa course
sur le nord du Vietnam causant au final la mort de 3
personnes
|
Tempête
tropicale
|
992
|
75
|
8
- 10 octobre
|
|
KOMPASU
|
|
|
18ème
système cyclonique nommé et 11ème
tempête tropicale
de la saison qui a traversé les Philippines puis
l'île de Hainan
causant au final d'importants dégats et la mort
de 30 personnes
|
Tempête
tropicale
|
981
|
100
|
10
- 13 octobre
|
|
NAMTHEUN
|
|
|
19ème
système cyclonique nommé et 8ème
typhon de la saison
qui a évolué en plein océan
|
Typhon
|
982
|
120
|
10
- 17 octobre
|
|
MALOU
|
|
|
20ème
système cyclonique nommé et 9ème
typhon de la saison
qui a évolué en plein océan
|
Typhon
|
967
|
155
|
24
- 29 octobre
|
|
NYATOH
|
|
|
21ème
système cyclonique nommé et 10ème
typhon de la saison
qui a atteint le stade de typhon extrême (vents
> à 240 km/h)
a évolué en Mer des Philippines
|
Typhon
extrême
|
928
|
240
|
29
novembre -
4 décembre
|
|
RAI
|
|
|
22ème
système cyclonique nommé et 11ème
typhon de la saison
qui a atteint le stade de typhon extrême (vents
> 240 km/h),
par 2 fois, une 1ère fois juste avant sa traversée
des Philippines
puis ensuite à l'est des côtes du Vietnam
et qui laisse derrière lui d'énormes dégats
et un lourd bilan de 400 morts
|
Typhon
extrême
|
915
|
265
|
13
-20 décembre
|
|
|
Saison
cyclonique 2020
|
|
La
saison cyclonique débutera
officiellement le 1er
janvier 2020 et se terminera le 31
décembre 2020
Sera
t-elle du même format que la saison
cyclonique 2019 qui a compté 29
systèmes cycloniques dont 11
tempêtes tropicales et 18
typhns
tout en sachant que la moyenne annuelle des 32
dernières années est de 26,13
systèmes cycloniques dont 15,96
typhons ?
La saison cyclonique a ainsi
débuté le 12 mai 2020 et s'est terminé
le 22 décembre 2020 avec au final 23
systèmes cycloniques dont 11
tempêtes tropicales et 12
typhons
Le dernier système cyclonique
nommé fut :
KROVANH
23ème système cyclonique et 11ème
tempête de la saison 2020, qui a traversé les
Philippines au stade de dépression tropicale laissant
derrière lui un bilan de 8
morts
et d'importants dégats dus aux innondations et glissements
de terrains puis a évolué ensuite en mer de
Chine du Sud au stade de tempête
Le système cyclonique le
plus mortel de 2020
fut :
LINFA
15ème système cyclonique et 7ème
tempête tropicale de la saison 2020 qui a causé
la mort de 197 personnes au Vietnam et Cambodge
Le météor le plus puissant
de 2020 fut :
GONI avec une pression de 884 hPa et des vents moyens
sur 1 minute de 315 km/h (170 knots)
et
également le système tropical
mondial 2020 le plus extrême de l'Hémisphère
Nord et de la planète
Les systèmes les plus remarquables
furent :
VONGFONG qui a atterri a plus
de 5 reprises sur 5 îles différentes des Philippines
en une journée
HAISEN
10ème système cyclonique et 6ème
typhon de la saison 2020 qui a atteint le stade de typhon
extrême (vents moyens > à 130 knots=240 km/h)
en pleine mer, est passé près
des côtes sud-ouest du Japon puis a atterri sur la côte
sud-est de la Corée du Sud au stade de typhon avant
de ressortir en mer du Japon pour atterrir ensuite sur la
Corée du Nord
tout comme juste avant lui l'avait fait le typhon MAYSAK (27
septembre - 3 août 2020)
SAUDEL
17ème système cyclonique et 9ème
typhon de la saison 2020 qui a traversé et impacté
les Philippines au stade de tempête tropicale puis atteint
le stade de typhon
en mer de Chine pour finalement atterrir au stade de dépression
sur les côtes du Vietnam
MOLAVE
18ème système cyclonique et 10ème
typhon de la saison 2020 qui a traversé les Philippines
puis a atterri sur le Vietnam au stade de typhon laissant
derrière lui
un lourd bilan avec 61 morts, des disparus et d'importants
dégats pour ces 2 pays
GONI
19ème système cyclonique et 11ème
typhon de la saison 2020, qui tout d'abord est le système
cyclonique mondial le plus puissant de l'année 2020,
a atterri au stade de typhon
extrême et à son pic d'intensité sur les
Philippines avec donc des vents moyens de 315 km/h puis a
traversé ce pays pour finir par atterrir sur le Vietnam
au stade de dépression
laissant derrière lui un lourd bilan avec 25 morts
et de très importants dégats
VAMCO
22ème système cyclonique et 12ème
typhon de la saison 2020, qui a traversé les Philippines
au stade de typhon avec des vents moyens de 170 km/h laissant
derrière lui
un lourd bilan de 67 morts, d'importantes innondations et
notamment à Manille et également beaucoup de
dégats puis a ensuite atterri sur le Vietnam également
au stade de typhon
avec des vents moyens de 130 km/h
|
|
|
Nom
|
Type
|
Date
|
Vents
en knots
sur 1 minute
|
Pression
en hPA
|
|
VONGFONG
|
Typhon
|
12
- 16 mai
|
100
|
961
|
|
NURI
|
Tempête
tropicale
|
13
juin
|
35
|
998
|
|
SINLAKU
|
Tempête
tropicale
|
1
- 2 août
|
35
|
993
|
|
HAGUPIT
|
Typhon
|
1
- 4 août
|
75
|
971
|
|
JANGMI
|
Tempête
tropicale
|
8
- 11 août
|
40
|
990
|
|
MEKKHALA
|
Typhon
|
10
- 11 août
|
70
|
980
|
|
HIGOS
|
Tempête
tropicale
|
18
- 19 août
|
60
|
987
|
|
BAVI
|
Typhon
|
22
- 27 août
|
100
|
942
|
|
MAYSAK
|
Typhon
|
28
août - 3 septembre
|
125
|
921
|
|
HAISEN
|
Typhon
|
1-
8 septembre
|
135
|
910
|
|
NOUL
|
Tempête
tropicale
|
15
- 18 septembre
|
50
|
990
|
|
DOLPHIN
|
Tempête
tropicale
|
20
- 24 septembre
|
55
|
983
|
|
KUJIRA
|
Typhon
|
27
- 30 septembre
|
65
|
974
|
|
CHAN
- HOM
|
Typhon
|
5
- 11 octobre
|
80
|
960
|
|
LINFA
|
Tempête
tropicale
|
10
- 11 octobre
|
45
|
996
|
|
NANGKA
|
Tempête
tropicale
|
12
- 14 octobre
|
50
|
989
|
|
SAUDEL
|
Typhon
|
20
- 25 octobre
|
80
|
972
|
|
MOLAVE
|
Typhon
|
24
- 28 octobre
|
105
|
952
|
|
|
Typhon
|
28
octobre - 6 novembre
|
170
|
884
|
|
ATSANI
|
Tempête
tropicale
|
29
octobre - 7 novembre
|
55
|
993
|
|
ETAU
|
Tempête
tropicale
|
9
- 10 novembre
|
40
|
998
|
|
VAMCO
|
Typhon
|
9
- 15 novembre
|
115
|
945
|
|
KROVANH
|
Tempête
tropicale
|
20
- 22 décembre
|
65
|
1000
|
|
* Système cyclonique
ayant évolué dans le bassin
Pacifique Nord-Est puis Nord-Ouest
° Système ayant évolué
dans le bassin Pacifique Nord-Ouest puis
Océan Indien Nord
|
|
|
|
|
Saison
cyclonique 2019
|
La
saison cyclonique débutera
officiellement le 1er
janvier 2019 et se terminera le 31
décembre 2019
Sera t-elle du même format que la saison
cyclonique 2018 qui a compté 28 systèmes
cycloniques dont 13 tempêtes tropicales et 15 typhons
tout en sachant que la moyenne annuelle des 31 dernières
années est de 26,03 systèmes cycloniques dont
15,90 typhons ?
La saison cyclonique
a ainsi débuté le 1er janvier et s'est terminé
le 29 décembre avec au final
29 systèmes cycloniques dont 11
tempêtes tropicales et 18
typhons
Le dernier système cyclonique
nommé fut PHANFONE
29ème système cyclonique et 18ème
typhon de la saison 2019 qui a traversé les Philippines
au stade de typhon causant la mort de 28 personnes et d'importants
dégats
Le système cyclonique le
plus mortel de 2019
fut LEKIMA
9ème système cyclonique et 3ème
typhon de la saison 2019 qui a causé la mort de 90
personnes
Le météor le plus puissant
de 2019 est pour le moment HALONG
avec une pression de 897 hPa et des vents moyens sur
1 minute de 290 km/h (155 knots)
Les systèmes les plus remarquables
furent :
- PABUK
1er système cyclonique
et 1er tempête tropicale de la saison 2019 qui a impacté
la Malaisie et la Thailande,
causant
la mort de 10 personnes et 157 millions de dollars de dégats,
ce qui est d'ailleurs assez rare puisqu'en effet seul 11 systèmes
pour 59 saisons
ce qui donne une moyenne de 0.18 par année ont impacté
cette région ; un système reste hors norme, le typhon
GAY en 1989 qui frappa la Thaïlande
au stade de typhon avec des vents moyens de 185 km/h ce qui
est sans équivalent depuis au moins 1945. Ensuite il s'intensifia
en cyclone extrême sur le nord indien dans le Golfe
du Bengale
- WUTIP
2ème système cyclonique et 1er cyclone
tropical de la saison 2019 qui a impacté Guam et les
îles Caroline, et
également qui est le typhon
le plus
puissant jamais observé dans l'hémisphère nord en février;
en effet le précédent plus puissant typhon observé aussi précocement
était HIGOS,
en 2015, qui au pic de son intensité le 10 février, avait
atteint la catégorie 4, avec des vents moyennés sur 1 minute
soufflant à 240 km/h
- FAXAI
15ème système cyclonique et 6ème
typhon de la saison 2019 qui a atterrit sur Tokyo
avec des vents moyens de 180 km/h devenant
ainsi le plus puissant typhon à frapper Tokyo depuis
1958 et laissant derrière lui 3 morts
- HAGIBIS
19ème système cyclonique et 9ème
typhon de la saison 2019 qui est passé près
des îles Mariannes, est resté plus de 56h au
stade de typhon extrême en plein océan
puis a fini sa course sur le Japon
au stade de typhon avec des vents moyens de 180 km/h pour
au final causer de graves innondations et la mort de 83 personnes
Les
systèmes tropicaux pour l'année sont nommés
par le centre des typhons du Japon, le J.M.A, et les prénoms
sont tirés de 5 listes qui ont été confectionnés
par les quatorze nations ou territoires et utilisés
séquentiellement liste après liste (il arrive
que certains prénoms soient tout de même changés)
Ainsi pour cette année les prénoms
donnés seront : Pabuk,
Wutip, Sepat,
Mun, Danas, Nari, Wipha, Francisco, Lekima, Krosa,
Bailu, Podul,
Lingling,
Kajiki, Faxai,
Peipah, Tapah, Mitag, Hagibis,
Neoguri, Bualoi, Matmo, Halong, Nakri,
Fengshen, Kalmaegi, Fung-wong,
Kammuri, Phanfone, Vongfong,
Nuri, Sinlaku, Hagupit, Jangmi, Mekkhala, Higos...
|
|
|
|
Nom
|
Type
|
Date
|
Vents
knots
sur 1 minute
|
Pression
en hPA
|
|
PABUK
°
|
Tempête
tropicale
|
01
- 04 janvier
|
50
|
985
|
|
WUTIP
|
Typhon
|
19
- 28 février
|
140
|
918
|
|
SEPAT
|
Tempête
tropicale
|
17
- 28 juin
|
40
|
994
|
|
MUN
|
Tempête
tropicale
|
1
- 4 juillet
|
35
|
992
|
|
DANAS
|
Tempête
tropicale
|
16
- 20 juillet
|
45
|
985
|
|
NARI
|
Tempête
tropicale
|
25
- 28 juillet
|
35
|
997
|
|
WIPHA
|
Tempête
tropicale
|
31
juillet - 2 août
|
40
|
992
|
|
FRANCISCO
|
Typhon
|
03
- 08 août
|
75
|
969
|
|
LEKIMA
|
Typhon
|
04
- 12 août
|
130
|
912
|
|
KROSA
|
Typhon
|
06
- 16 août
|
100
|
946
|
|
BAILU
|
Tempête
tropicale
|
21
-25 août
|
55
|
987
|
|
PODUL
|
Tempête
tropicale
|
27
août
|
35
|
995
|
|
LINGLING
|
Typhon
|
2
- 7 septembre
|
120
|
928
|
|
KAJIKI
|
Tempête
tropicale
|
3
septembre
|
35
|
995
|
|
FAXAI
|
Typhon
|
5
- 10 septembre
|
115
|
942
|
|
PEIPAH
|
Tempête
tropicale
|
15
septembre
|
35
|
999
|
|
TAPAH
|
Typhon
|
20
-23 septembre
|
65
|
970
|
|
MITAG
|
Typhon
|
27
septembre - 04 octobre
|
90
|
961
|
|
HAGIBIS
|
Typhon
|
06
- 12 octobre
|
140
|
904
|
|
NEOGURI
|
Typhon
|
17
- 22 octobre
|
95
|
964
|
|
BUALOI
|
Typhon
|
19
- 26 octobre
|
125
|
938
|
|
MATMO
|
Tempête
tropicale
|
30
- 31 octobre
|
50
|
993
|
|
HALONG
|
Typhon
|
02
- 09 novembre
|
155
|
897
|
|
NAKRI
|
Typhon
|
06
- 11 novembre
|
65
|
981
|
|
FENGSHEN
|
Typhon
|
12
- 17 novembre
|
110
|
949
|
|
KALMAEGI
|
Typhon
|
14
- 20 novembre
|
80
|
970
|
|
FUNG-WONG
|
Typhon
|
20
- 22 novembre
|
65
|
988
|
|
KAMMURI
|
Typhon
|
26
novembre - 05 décembre
|
115
|
945
|
|
PHANFONE
|
Typhon
|
22
- 29 décembre
|
80
|
970
|
|
* Système ayant évolué dans
le Pacifique Nord-Est puis ensuite Nord-Ouest
° Système ayant évolué
dans le Pacifique Nord-Ouest puis dans l'Océan
Indien Nord
|
|
|
|
Saison
cyclonique 2018
|
|
La
saison cyclonique débutera
officiellement le 1er
janvier 2018 et se terminera le 31
décembre 2018
La saison cyclonique
a ainsi débuté le 2 janvier avec au final
28 systèmes cycloniques
dont 13 tempêtes tropicales
et 15 typhons et s'est terminé
le 25 novembre
Le dernier système cyclonique
nommé fut USAGI 28ème
système cyclonique et 15ème typhon de la saison
2018 qui a traversé les Philippines
puis atterri sur le sud Vietnam causant d'important dégats
et la mort de une personne
Le système cyclonique le
plus mortel de 2018
fut MANGKHUT
21ème système cyclonique et 10ème
typhon de la saison 2018
qui a durement frappé les Philippines, Hong-Kong et
la Chine causant au final la mort de 102 personnes
et de très importants dégats de l'ordre de 1.6
billions $
Le météor le plus puissant
de 2018 fut YUTU
avec une pression de 899 hPa et des vents sur 1 minute de
287 km/h (155 knots)
Le système le plus remarquable
fut YUTU qui a
atteint le stade de typhon extrême et est pour cette
année le système le plus puissant sur le globe
avec des vents moyens de 287 km/h et qui a atterri à
pleine puissance sur l'île de Tinian (l'ile s'étant
retrouvé "englouti" dans l'oeil) et l'île
de Saipan
juste au nord ayant subi le mur de l'oeil, causant des dégats
très importants puis a traversé les Philippines
causant au final la mort de 18 personnes
Les
systèmes tropicaux pour l'année sont nommés
par le centre des typhons du Japon, le J.M.A, et les prénoms
sont tirés de 5 listes qui ont été confectionnés
par les quatorze nations ou territoires et utilisés
séquentiellement liste après liste (il arrive
que certains prénoms soient tout de même changés)
Ainsi pour cette année les prénoms
donnés seront : Bolaven,
Sanba, Jelawat, Ewiniar, Maliksi,
Gaemi, Prapiroon, Maria,
Son-Tinh, Ampil,
Wukong, Jongdari,
Shanshan, Yagi,
Leepi, Bebinca, Rumbia, Soulik, Cimaron, Jebi, Mangkhut,
Barijat, Trami, Kong-rey, Yutu,
Toraji, Man-yi, Usagi,
Pabuk, Wutip, Sepat, Mun,...
L'activité cyclonique moyenne sur ce bassin est
de 25,96 systèmes cycloniques dont 15,93 typhons (moyenne
des 30 dernières années)
|
|
|
Nom
|
Type
|
Date
|
Vents
Knots
sur 1 minute
|
Pression
en hPA
|
|
BOLAVEN
|
Tempête
tropicale
|
02
- 04 janvier
|
35
|
1002
|
|
SANBA
|
Tempête
tropicale
|
10
- 13 février
|
35
|
996
|
|
JELAWAT
|
Typhon
|
27
mars - 01 avril
|
130
|
926
|
|
EWINIAR
|
Tempête
tropicale
|
05
- 07 juin
|
35
|
997
|
|
MALISKI
|
Tempête
tropicale
|
07
- 11 juin
|
60
|
975
|
|
GAEMI
|
Tempête
tropicale
|
15
- 17 juin
|
40
|
993
|
|
PRAPIROON
|
Typhon
|
29
juin - 4 juillet
|
75
|
963
|
|
MARIA
|
Typhon
|
04
- 12 juillet
|
140
|
915
|
|
SON-TINH
|
Tempête
tropicale
|
17
- 19 juillet
|
40
|
994
|
|
AMPIL
|
Tempête
tropicale
|
18
- 24 juillet
|
50
|
985
|
|
WUKONG
|
Tempête
tropicale
|
22
- 26 juillet
|
55
|
984
|
|
JONGDARI
|
Typhon
|
23
juillet - 3 août
|
95
|
954
|
|
SHANSHAN
|
Typhon
|
3
- 11 août
|
90
|
949
|
|
YAGI
|
Tempête
tropicale
|
8
- 12 août
|
40
|
991
|
|
LEEPI
|
Typhon
|
11
- 15 août
|
65
|
974
|
|
BEBINCA
|
Tempête
tropicale
|
13
- 17 août
|
60
|
978
|
|
RUMBIA
|
Tempête
tropicale
|
15
- 17 août
|
50
|
978
|
|
SOULIK
|
Typhon
|
16
- 25 août
|
105
|
941
|
|
CIMARON
|
Typhon
|
18
- 24 août
|
110
|
940
|
|
JEBI
|
Typhon
|
28
août - 4 septembre
|
150
|
910
|
|
MANGHKUT
|
Typhon
|
08
- 17 septembre
|
150
|
910
|
|
BARIJAT
|
Tempête
tropicale
|
10
- 13 septembre
|
40
|
1002
|
|
TRAMI
|
Typhon
|
21
- 30 septembre
|
140
|
916
|
|
KONG-REY
|
Typhon
|
28
septembre - 07 octobre
|
140
|
916
|
|
YUTU
|
Typhon
|
22
octobre - 2 octobre
|
155
|
899
|
|
TORAJI
|
Tempête
tropicale
|
17
novembre
|
35
|
1004
|
|
MAN-YI
|
Typhon
|
20
- 28 novembre
|
90
|
956
|
|
USAGI
|
Typhon
|
22
- 25 novembre
|
70
|
970
|
|
°
Système ayant évolué dans
le bassin Pacifique Nord-Est puis ensuite Nord-Ouest
|
|
|
|
Saison
cyclonique 2017
|
|
La
saison cyclonique débutera
officiellement le 1er
janvier 2017 et se terminera le 31
décembre 2017
La saison cyclonique
a ainsi débuté le 25 avril avec pour le moment
27 systèmes cycloniques
dont 12 typhons et 15
tempêtes tropicales
et
s'est terminé le 26 décembre
Le dernier système cyclonique
nommé fut TEMBIN
27ème système cyclonique et 12ème
typhon de la saison 2017
qui a traversé les Philippines et causé la mort
de 257 personnes
Le système cyclonique le
plus mortel de 2017
fut le typhon TEMBIN qui a causé
la mort de 257 personnes aux Philippines
Le météor le plus puissant
de 2017 fut NORU avec
une pression de 912 hPa et des vents sur 1 minute de 260 km/h
(140 knots)
Le système hors norme
fut LAN
21ème système cyclonique et 9ème
typhon de la saison 2017 qui a atteint le stade de typhon
extrême
tout en faisant partie des systèmes cycloniques les
plus larges au monde avec un diamètre de plus de 2000
km et qui a impacté la pointe nord-est du Japon
en passant près de Tokyo avec au final un bilan de
5 morts et d'importants dégats
Les
systèmes tropicaux pour l'année sont nommés
par le centre des typhons du Japon, le J.M.A, et les prénoms
sont tirés de 5 listes qui ont été confectionnés
par les quatorze nations ou territoires et utilisés
séquentiellement liste après liste (il arrive
que certains prénoms soient tout de même changés)
Ainsi pour cette année les prénoms
donnés seront : Muifa,
Merbok, Nanmadol, Talas,
Noru, Kulap, Roke, Sonca, Nesat,
Haitang, Nalgae, Banyan,
Hato, Pakhar, Sanvu, Mawar,
Guchol, Talim, Doksuri, Khanun,
Lan, Saola,
Damrey, Haikui, Kirogi, Kai-Tak,
Tembin, Bolaven, Sanba, ...
L'activité cyclonique moyenne sur ce bassin est
de 25,92 systèmes cycloniques dont 16,17 typhons (moyenne
des 28 dernières années)
|
|
|
Nom
|
Type
|
Date
|
Vents
knots
sur 1 minute
|
Pression
en hPA
|
|
MUIFA
|
Tempête
tropicale
|
25
- 27 avril
|
40
|
1002
|
|
MERBOK
|
Tempête
tropicale
|
11
- 12 juin
|
45
|
994
|
|
NANMADOL
|
Tempête
tropicale
|
2
- 4 juillet
|
60
|
986
|
|
TALAS
|
Tempête
tropicale
|
15
- 17 juillet
|
50
|
990
|
|
NORU
|
Typhon
|
21
juillet - 8 aout
|
140
|
912
|
|
KULAP
|
Tempête
tropicale
|
21-
25 juillet
|
50
|
992
|
|
ROKE
|
Tempête
tropicale
|
22
- 22 juillet
|
35
|
996
|
|
SONCA
|
Tempête
tropicale
|
23
- 25 juillet
|
45
|
993
|
|
NESAT
|
Typhon
|
26
- 30 juillet
|
80
|
967
|
|
HAITANG
|
Tempête
tropicale
|
29
- 30 juillet
|
40
|
992
|
|
NALGAE
|
Tempête
tropicale
|
2
- 6 août
|
40
|
991
|
|
BANYAN
|
Typhon
|
11
- 17 août
|
90
|
966
|
|
HATO
|
Typhon
|
20
- 24 août
|
100
|
948
|
|
PAAKAR
|
Tempête
tropicale
|
24
- 27 août
|
60
|
978
|
|
SANVU
|
Typhon
|
28
août - 03 août
|
90
|
953
|
|
MAWAR
|
Tempête
tropicale
|
31
août - 03 septembre
|
45
|
993
|
|
GUCHOL
|
Tempête
tropicale
|
06
septembre
|
35
|
1000
|
|
TALIM
|
Typhon
|
09
- 18 septembre
|
120
|
931
|
|
DOKSURI
|
Typhon
|
12
- 15 septembre
|
100
|
956
|
|
KHANUN
|
Typhon
|
12
- 16 octobre
|
90
|
966
|
|
LAN
|
Typhon
|
16
- 23 octobre
|
135
|
914
|
|
SAOLA
|
Typhon
|
24
- 29 octobre
|
75
|
972
|
|
DAMREY
|
Typhon
|
2
- 4 novembre
|
90
|
967
|
|
HAIKU
|
Tempête
tropicale
|
10
- 11 novembre
|
40
|
993
|
|
KIROGI
|
Tempête
tropicale
|
17
- 19 novembre
|
40
|
1000
|
|
KAI-TAK
|
Tempête
tropicale
|
14
- 20 décembre
|
50
|
992
|
|
TEMBIN
|
Typhon
|
20
- 26 décembre
|
80
|
974
|
|
°
Système ayant évolué dans
le bassin Pacifique Nord-Est puis ensuite Nord-Ouest
|
|
|
|
Saison
cyclonique 2016
|
|
La
saison cyclonique débutera
officiellement le 1er
janvier 2016 et se terminera le 31
décembre 2016
La saison cyclonique
a ainsi débuté le 3 juillet 2016 (soit 6
mois après le début officiel) et s'est terminé
le 27 décembre
avec 26 systèmes cycloniques
dont 13 typhons et 13
tempêtes tropicales
Le dernier système cyclonique
nommé fut NOCK-TEN
26ème système cyclonique et 13ème
typhon de de la saison 2016 qui a traversé les Philippines
et causé la mort de 7 personnes
Le système cyclonique le
plus mortel de 2016
fut le typhon LIONROCK qui a
causé la mort de 163 personnes
après avoir concerné le Japon, la Chine et la
Russie
Le météor le plus puissant
de 2016 fut MERANTI
avec une pression de 887 hPa et des vents sur 1 minute de
305 km/h (165 knots)
Les
systèmes tropicaux pour l'année sont nommés
par le centre des typhons du Japon, le J.M.A, et les prénoms
sont tirés de 5 listes qui ont été confectionnés
par les quatorze nations ou territoires et utilisés
séquentiellement liste après liste (il arrive
que certains prénoms soient tout de même changés)
Ainsi pour cette année les prénoms
donnés seront : Nepartak,
Lupit, Mirinae, Nida, Omais,
Conson, Chanthu, Dianmu, Mindulle,
Lionrock,
Kompasu, Namtheun, Malou, Meranti, Rai, Malakas, Megi,
Chaba, Aere, Songda, Sarika,
Haima, Meari, Ma-on, Tokage,
Nock-ten, Muifa, Merbok,
Nanmadol, Talas, Noru, Kulap, Roke, Sonca, Nesat, Haitang,
Nalgae,...
L'activité cyclonique moyenne sur ce bassin est
de 25,92 systèmes cycloniques dont 16,17 typhons (moyenne
des 28 dernières années)
|
|
|
Nom
|
Type
|
Date
|
Vents
knots
sur 1 minute
|
Pression
en hPA
|
|
NEPARTAK
|
Typhon
5
|
3
- 9 juillet
|
150
|
911
|
|
LUPIT
|
Tempête
tropicale
|
23
- 24 juillet
|
40
|
993
|
|
MIRINAE
|
Tempête
tropicale
|
26
- 28 juillet
|
50
|
985
|
|
NIDA
|
Typhon
1
|
30
juillet - 2 aôut
|
80
|
963
|
|
OMAIS
|
Tempête
tropicale
|
4
- 9 août
|
60
|
978
|
|
CONSON
|
Tempête
tropicale
|
9
- 14 août
|
50
|
985
|
|
CHANTHU
|
Tempête
tropicale
|
14
- 17 août
|
45
|
989
|
|
DIANMU
|
Tempête
tropicale
|
18
- 19 août
|
40
|
993
|
|
MINDULLE
|
Tempête
tropicale
|
18
- 22 août
|
55
|
982
|
|
LIONROCK
|
Typhon
4
|
18
- 30 août
|
115
|
937
|
|
KOMPASU
|
Tempête
tropicale
|
19
- 20 août
|
40
|
993
|
|
NAMTHEUN
|
Typhon
3
|
1
- 4 septembre
|
100
|
948
|
|
MALOU
|
Tempête
tropicale
|
6
- 8 septembre
|
35
|
996
|
|
MERANTI
|
Typhon
5
|
10
- 15 septembre
|
165
|
887
|
|
RAI
|
Tempête
tropicale
|
12
septembre
|
35
|
996
|
|
MALAKAS
|
Typhon
4
|
12
- 20 septembre
|
115
|
937
|
|
MEGI
|
Typhon
3
|
23
- 28 septembre
|
110
|
940
|
|
CHABA
|
Typhon
5
|
28
septembre - 5 octobre
|
145
|
915
|
|
AERE
|
Tempête
tropicale
|
7
- 9 octobre
|
55
|
990
|
|
SONGDA
|
Typhon
4
|
9
- 12 octobre
|
130
|
926
|
|
SARIKA
|
Typhon
4
|
14
- 19 octobre
|
115
|
937
|
|
HAIMA
|
Typhon
5
|
15
- 21 octobre
|
145
|
914
|
|
MEARI
|
Typhon
2
|
3
- 8 novembre
|
90
|
961
|
|
MA-ON
|
Tempête
tropicale
|
10
- 11 novembre
|
35
|
1006
|
|
TOKAGE
|
Tempête
tropicale
|
24
- 27 novembre
|
50
|
985
|
|
NOCK-TEN
|
Typhon
5
|
21
- 27 décembre
|
135
|
925
|
|
°
Système ayant évolué dans
le bassin Pacifique Nord-Est puis ensuite Nord-Ouest
|
|
|
|
Saison
cyclonique 2015
|
|
La
saison cyclonique débutera
officiellement le 1er
janvier 2015 et se terminera le 31
décembre 2015
La saison cyclonique
a ainsi débuté le 15 janvier et s'est terminé
le 16 décembre avec 27 systèmes
cycloniques dont 21 typhons
et 6 tempêtes tropicales
Le dernier système cyclonique
nommé fut MELOR
21ème typhon de la saison 2015 qui traversé
les Philippines causant d'importants dégats
et la mort de 17 personnes
Le système cyclonique le
plus mortel de 2015
fut le typhon KOPPU qui a causé
la mort de 57 personnes
Le météor le plus puissant
de 2015 fut le typhon extrême
SOUDELOR avec une pression de 907 hPa et des vents
sur 1 minute de 290 km/h (155 knots)
Les
systèmes tropicaux pour l'année sont nommés
par le centre des typhons du Japon, le J.M.A, et les prénoms
sont tirés de 5 listes qui ont été confectionnés
par les quatorze nations ou territoires et utilisés
séquentiellement liste après liste (il arrive
que certains prénoms soient tout de même changés)
Ainsi pour cette année les prénoms
donnés seront : Mekkhala,
Higos, Bavi,
Maysak, Haishen, Noul, Dolphin,
Kujira, Chan-hom,
Linfa, Nangka, Soudelor,
Molave, Goni, Atsani,
Etau, Vamco,
Krovanh, Dujuan, Mujigae, Choi-wan,
Koppu, Champi, In-fa, Melor,
Nepartak, Lupit, Mirinae, Nida, Omais, Conson,
Chanthu, Dianmu, Mindulle, Lionrock, Kompasu, Namtheun, Malou,
Meranti, Rai, Malakas, Megi, Chaba, Aere, Songda,...
L'activité cyclonique moyenne sur ce bassin est
de 26,04 systèmes cycloniques dont 16,15 typhons (moyenne
des 27 dernières années)
|
|
|
Nom
|
Type
|
Date
|
Vents
knots
sur 1 minute
|
Pression
en hPA
|
|
MEKKHALA
|
Typhon
|
15
-18 janvier
|
70
|
970
|
|
HIGOS
|
Typhon
|
07
- 11 février
|
115
|
937
|
|
BAVI
|
Tempête
tropicale
|
12
-17 mars
|
45
|
989
|
|
MAYSAK
|
Typhon
|
27
mars - 5 avril
|
140
|
918
|
|
HAISHEN
|
Tempête
tropicale
|
04
- 05 avril
|
45
|
989
|
|
NOUL
|
Typhon
|
03
- 12 mai
|
140
|
918
|
|
DOLPHIN
|
Typhon
|
08
- 19 mai
|
140
|
918
|
|
KUJIRA
|
Tempête
tropicale
|
21
- 23 juin
|
45
|
989
|
|
CHAN-HOM
|
Typhon
|
01
- 12 juillet
|
120
|
933
|
|
LINFA
|
Typhon
|
03
- 10 juillet
|
65
|
974
|
|
NANGKA
|
Typhon
|
04
- 17 juillet
|
135
|
922
|
|
HALOLA
°
|
Typhon
|
12
- 26 juillet
|
90
|
956
|
|
SOUDELOR
|
Typhon
|
30
juillet - 9 août
|
155
|
907
|
|
MOLAVE
|
Tempête
tropicale
|
09
- 13 août
|
50
|
985
|
|
GONI
|
Typhon
|
15
- 26 août
|
115
|
937
|
|
ATSANI
|
Typhon
|
15
- 26 août
|
140
|
918
|
|
KILO
°
|
Typhon
|
01
- 10 septembre
|
90
|
956
|
|
ETAU
|
Tempête
tropicale
|
7
- 9 septembre
|
60
|
978
|
|
VAMCO
|
Tempête
tropicale
|
13
- 15 septembre
|
35
|
996
|
|
KROVAHN
|
Typhon
|
13
- 20 septembre
|
105
|
945
|
|
DUJUAN
|
Typhon
|
22
- 29 septembre
|
125
|
929
|
|
MUJIGAE
|
Typhon
|
01
- 05 octobre
|
115
|
937
|
|
CHOI-WAN
|
Typhon
|
03
- 08 octobre
|
70
|
970
|
|
KOPPU
|
Typhon
|
13
- 20 octobre
|
130
|
926
|
|
CHAMPI
|
Typhon
|
13
- 25 octobre
|
130
|
926
|
|
IN-FA
|
Typhon
|
18
- 25 novembre
|
120
|
933
|
|
MELOR
|
Typhon
|
11
- 16 décembre
|
125
|
929
|
|
°
Système ayant évolué dans
le bassin Pacifique Nord-Est puis ensuite Nord-Ouest
|
|
|
|
Saison
cyclonique 2014
|
|
La
saison cyclonique débutera
officiellement le 1er
janvier 2014 et se terminera le 31
décembre 2014
La saison cyclonique
a ainsi débuté le 18 janvier avec au final
22 systèmes cycloniques
dont 12 typhons et 10
tempêtes tropicales et s'est terminé
le 30 décembre
Le dernier système cyclonique
nommé fut JANGMI
10ème tempête tropicale de la saison 2014
qui a atterri sur les Philippines
et durant sa traversée a causé la mort de 35
personnes et de très nombreux dégats
Le système cyclonique le
plus mortel de 2014
fut le typhon RAMMASUN qui a
causé la mort de 195 personnes en traversant les Philippines,
l'île d'Hainan puis en atterrissant près de la
frontière du Vietnam et de la Chine
Les météors les plus
puissants de 2014 furent les typhons
VONGFONG, NURI & HAGUPIT avec une pression de
907 hPa
et des vents sur 1 minute de 290 km/h
(155 knots)
Les
systèmes tropicaux pour l'année sont nommés
par le centre des typhons du Japon, le J.M.A, et les prénoms
sont tirés de 5 listes qui ont été confectionnés
par les quatorze nations ou territoires et utilisés
séquentiellement liste après liste (il arrive
que certains prénoms soient tout de même changés)
Ainsi pour cette année les prénoms
donnés seront : Lingling,
Kajiki, Faxai, Peipah, Tapah, Hagibis, Neoguri, Rammasun,
Matmo, Halong, Nakri, Fengshen,
Kalmaegi, Fung-wong, Kammuri, Phanfone,
Vongfong, Nuri, Sinlaku, Hagupit,
Jangmi, Mekkhala, Higos, Bavi, Maysak, Haishen, Noul,
Dolphin, Kujira,
Chan-hom, Linfa, Nangka, Soudelor, Molave, Goni, Morakot,
Etau, Vamco,...
L'activité cyclonique moyenne sur ce bassin est
de 26,04 systèmes cycloniques dont 16,15 typhons (moyenne
des 26 dernières années)
|
|
|
Nom
|
Type
|
Date
|
Vents
knots
sur 1 minute
|
Pression
en hPA
|
|
LINGLING
|
Tempête
tropicale
|
18
- 19 janvier
|
35
|
996
|
|
KAJIKI
|
Tempête
tropicale
|
31
janvier
|
35
|
996
|
|
FAXAI
|
Typhon
|
01
- 06 mars
|
75
|
967
|
|
PEIPAH
|
Tempête
tropicale
|
04
- 06 avril
|
35
|
996
|
|
TAPAH
|
Typhon
|
27
avril - 01 mai
|
70
|
970
|
|
HAGIBIS
|
Tempête
tropicale
|
14
- 17 juin
|
45
|
989
|
|
NEOGURI
|
Typhon
|
3
- 11 juillet
|
135
|
922
|
|
RAMMASUN
|
Typhon
|
12
- 19 juillet
|
135
|
922
|
|
MATMO
|
Typhon
|
17
- 23 juillet
|
85
|
959
|
|
HALONG
|
Typhon
|
29
juillet - 10 août
|
140
|
918
|
|
NAKRI
|
Tempête
tropicale
|
02
- 03 août
|
40
|
993
|
|
GENEVIEVE
°
|
Typhon
|
7
- 14 août
|
140
|
915
|
|
FENGSHEN
|
Tempête
tropicale
|
07
- 09 septembre
|
60
|
978
|
|
KALMAEGI
|
Typhon
|
12
- 17 septembre
|
75
|
967
|
|
FUNG-WONG
|
Tempête
tropicale
|
17
- 23 septembre
|
50
|
985
|
|
KAMMURI
|
Tempête
tropicale
|
25
- 29 septembre
|
55
|
982
|
|
PHANFONE
|
Typhon
|
29
septembre - 06 octobre
|
130
|
926
|
|
VONGFONG
|
Typhon
|
03
- 14 octobre
|
155
|
907
|
|
NURI
|
Typhon
|
31
octobre - 06 novembre
|
155
|
907
|
|
SINLAKU
|
Tempête
tropicale
|
28
- 29 novembre
|
55
|
982
|
|
HAGUPIT
|
Typhon
|
01
- 11 décembre
|
155
|
907
|
|
JANGMI
|
Tempête
tropicale
|
28
- 30 décembre
|
84
|
989
|
|
°
Système ayant évolué dans
le bassin Pacifique Nord-Est puis ensuite Nord-Ouest
|
|
|
|
Saison
cyclonique 2013
|
|
|
Nom
|
Type
|
Date
|
Vents
knots
sur 1 minute
|
Pression
en hPA
|
|
SONAMU
|
Tempête
|
04
- 07 janvier
|
45
|
989
|
|
SHANSHAN
|
Tempête
|
19
- 21 février
|
35
|
1002
|
|
YAGI
|
Tempête
|
08
-12 juin
|
55
|
982
|
|
LEEPI
|
Tempête
|
18
- 20 juin
|
40
|
1003
|
|
BEBINCA
|
Tempête
|
21
- 22 juin
|
35
|
996
|
|
RUMBIA
|
Typhon
|
28
juin - 02 juillet
|
65
|
974
|
|
SOULIK
|
Typhon
|
07
- 14 juillet
|
125
|
929
|
|
CIMARON
|
Tempête
|
17
- 18 juillet
|
40
|
993
|
|
JEBI
|
Tempête
|
31
juillet - 03 août
|
60
|
978
|
|
MANGKHUT
|
Tempête
|
06
- 07 août
|
40
|
993
|
|
UTOR
|
Typhon
|
09
- 14 août
|
130
|
926
|
|
TRAMI
|
Typhon
|
18
- 23 août
|
75
|
967
|
|
PEWA
°
|
Typhon
|
18
- 24 août
|
65
|
985
|
|
KONG-REY
|
Tempête
|
26
- 31 août
|
55
|
982
|
|
YUTU
|
Tempête
|
01
- 03 septembre
|
35
|
1002
|
|
TORAJI
|
Tempête
|
02
- 04 septembre
|
50
|
985
|
|
MAN-YI
|
Tempête
|
13
- 16 septembre
|
60
|
978
|
|
USAGI
|
Typhon
|
17
- 22 septembre
|
140
|
918
|
|
PABUK
|
Typhon
|
21
- 26 septembre
|
90
|
956
|
|
WUTIP
|
Typhon
|
27
- 30 septembre
|
90
|
956
|
|
SEPAT
|
Tempête
|
30
septembre - 02 octobre
|
35
|
996
|
|
FITOW
|
Typhon
|
30
septembre - 07 octobre
|
90
|
956
|
|
DANAS
|
Typhon
|
04
- 08 octobre
|
125
|
929
|
|
NARI
|
Typhon
|
09
- 15 octobre
|
105
|
944
|
|
WIPHA
|
Typhon
|
10
- 16 octobre
|
115
|
937
|
|
FRANCISCO
|
Typhon
|
16
- 25 octobre
|
140
|
918
|
|
LEKIMA
|
Typhon
|
20
- 26 octobre
|
140
|
918
|
|
KROSA
|
Typhon
|
29
octobre - 03 novembre
|
100
|
948
|
|
|
Typhon
|
04
- 11 novembre
|
170
|
862
|
|
°
Système ayant évolué dans
le bassin Pacifique Nord-Est puis ensuite Nord-Ouest
|
|
|
|
Saison
cyclonique 2012
|
|
|
Nom
|
Type
|
Date
|
Vents
knots
1 minute
|
Pression
en hPA
|
|
PAKHAR
|
Typhon
|
29
mars - 01 avril
|
65
|
974
|
|
SANVU
|
Typhon
|
21
- 27 mai
|
80
|
963
|
|
MAWAR
|
Typhon
|
02
- 05 juin
|
100
|
948
|
|
GUCHOL
|
Typhon
|
12
- 19 juin
|
130
|
926
|
|
TAMIL
|
Tempête
|
18
- 20 juin
|
50
|
985
|
|
DOKSURI
|
Tempête
|
26
-29 juin
|
50
|
985
|
|
KHANUN
|
Tempête
|
16
- 18 juillet
|
50
|
985
|
|
VICENTE
|
Typhon
|
22 -24 juillet
|
115
|
937
|
|
SAOLA
|
Typhon
|
27
juillet - 03 août
|
90
|
956
|
|
DAMREY
|
Typhon
|
28
juillet - 03 août
|
75
|
967
|
|
HAIKU
|
Typhon
|
04
- 08 août
|
65
|
974
|
|
KIROGI
|
Tempête
|
08
-10 août
|
45
|
989
|
|
KAI-TAK
|
Typhon
|
13
- 18 août
|
70
|
970
|
|
TEMBIN
|
Typhon
|
19
- 31 août
|
115
|
937
|
|
BOLAVEN
|
Typhon
|
20
- 29 août
|
125
|
929
|
|
SANBA
|
Typhon
|
11
- 17 septembre
|
150
|
911
|
|
JELAWAT
|
Typhon
|
20
septembre - 1er octobre
|
140
|
918
|
|
EWINIAR
|
Tempête
|
24
- 30 septembre
|
50
|
982
|
|
MALIKSI
|
Tempête
|
01
- 04 octobre
|
45
|
989
|
|
GAEMI
|
Tempête
|
02
- 06 octobre
|
55
|
982
|
|
PRAPIROON
|
Typhon
|
07
-18 octobre
|
100
|
948
|
|
MARIA
|
Tempête
|
14
- 18 octobre
|
55
|
982
|
|
SON-TINH
|
Typhon
|
24
- 29 octobre
|
110
|
941
|
|
|
Typhon
|
27
novembre - 09 décembre
|
140
|
918
|
|
WUKONG
|
Tempête
|
25
- 27 décembre
|
35
|
996
|
|
|
|
Saison
cyclonique 2011
|
|
|
Nom
|
Type
|
Date
|
Vents
knots
1 minute
|
Pression
en hPA
|
|
AERE
|
Tempête
tropicale
|
07
- 11 mai
|
50
|
985
|
|
|
Typhon
5
|
22
-29 mai
|
140
|
918
|
|
SARIKA
|
Tempête
tropicale
|
10
-11 juin
|
35
|
996
|
|
HAIMA
|
Tempête
tropicale
|
17
- 24 juin
|
35
|
993
|
|
MEARI
|
Tempête
tropicale
|
21-
26 juin
|
60
|
976
|
|
|
Typhon
4
|
12
- 21 juillet
|
115
|
937
|
|
TOKAGE
|
Tempête
tropicale
|
15
juillet
|
35
|
997
|
|
NOCK-TEN
|
Typhon
1
|
26
- 30 juillet
|
65
|
974
|
|
|
Typhon
5
|
28
juillet - 08 août
|
140
|
918
|
|
MERBOK
|
Typhon
1
|
03
- 09 août
|
75
|
967
|
|
|
Typhon
4
|
23
- 30 août
|
135
|
922
|
|
TALAS
|
Tempête
tropicale
|
25
août - 03 septembre
|
55
|
982
|
|
NORU
|
Tempête
tropicale
|
04
- 06 septembre
|
45
|
989
|
|
KULAP
|
Tempête
tropicale
|
07
- 09 septembre
|
45
|
990
|
|
ROKE
|
Typhon
4
|
13
- 21 septembre
|
115
|
937
|
|
SONCA
|
Typhon
2
|
15
- 20 septembre
|
95
|
952
|
|
NESAT
|
Typhon
3
|
23
- 30 septembre
|
105
|
944
|
|
HAITANG
|
Tempête
tropicale
|
25
-26 septembre
|
35
|
996
|
|
NALGAE
|
Typhon
4
|
27
septembre - 05 octobre
|
130
|
926
|
|
BANYAN
|
Tempête
tropicale
|
11
- 16 octobre
|
35
|
996
|
|
WASHI
|
Tempête
tropicale
|
14
- 19 décembre
|
55
|
982
|
|
|
|
Saison
cyclonique 2010
|
|
|
|
Nom
|
Type
|
Date
|
Vents
knots
1 minute
|
Pression
en hPA
|
|
OMAIS
|
Tempête
tropicale
|
22
- 26 mars
|
50
|
985
|
|
|
Typhon
1
|
11
- 17 juillet
|
75
|
967
|
|
CHANTHU
|
Typhon
1
|
18
- 23 juillet
|
75
|
967
|
|
DIANMU
|
Tempête
tropicale
|
08
- 11 août
|
55
|
982
|
|
MINDULLE
|
Tempête
tropicale
|
23
- 24 août
|
60
|
978
|
|
LIONROCK
|
Tempête
tropicale
|
29
août - 02 septembre
|
55
|
982
|
|
KOMPASSU
|
Typhon
3
|
29
août - 03 septembre
|
100
|
948
|
|
NAMTHEUM
|
Tempête
tropicale
|
30
août -01 septembre
|
40
|
993
|
|
MALOU
|
Tempête
tropicale
|
03
- 08 septembre
|
45
|
989
|
|
MERANTI
|
Typhon
1
|
08
- 10 septembre
|
65
|
974
|
|
|
Typhon
3
|
15
- 20 septembre
|
105
|
944
|
|
MALAKAS
|
Typhon
2
|
21
- 26 septembre
|
90
|
956
|
|
|
Typhon
5
|
13
- 23 octobre
|
160
|
885
|
|
CHABA
|
Typhon
4
|
24
- 30 octobre
|
115
|
937
|
|
|
|
Saison
cyclonique 2009
|
|
|
Type
/ Classe
|
Nom
|
Date
|
Vents
1 minutes
|
Pression
en hPA
|
|
Typhon
4
|
|
01
- 07 mai
|
215
km/h
(115 knots)
|
937
|
|
Typhon
2
|
|
01
- 09 mai
|
157
km/h
(85 knots)
|
955
|
|
Typhon
1
|
|
18
- 22 juin
|
139
km/h
(75 knots)
|
967
|
|
Tempête
tropicale
|
|
22
- 26 juin
|
83
km/h
(45 knots)
|
990
|
|
Tempête
tropicale
|
SOUDELOR
|
09
-12 juillet
|
74
km/h
(35 knots)
|
994
|
|
Typhon
1
|
|
14
- 19 juillet
|
120
km/h
(65 knots)
|
975
|
|
Tempête
tropicale
|
GONI
|
02
- 05 août
|
84
km/h
(45 knots)
|
988
|
|
Typhon
2
|
|
03
- 10 août
|
157
km/h
(85 knots)
|
957
|
|
Tempête
tropicale
|
ETAU
|
08
- 12 août
|
93
km/h
(50 knots)
|
990
|
|
Typhon
4
|
|
17
- 25 août
|
215
km/h
(115 knots)
|
936
|
|
Tempête
tropicale
|
KROVANH
|
28
août - 01 septembre
|
111
km/h
(60 knots)
|
975
|
|
Tempête
tropicale
|
DUJUAN
|
03
- 10 septembre
|
102
km/h
(55 knots)
|
982
|
|
Tempête
tropicale
|
MUJIGAE
|
08
- 12 septembre
|
74
km/h
(35 knots)
|
994
|
|
Typhon
5
|
|
12
- 20 septembre
|
259
km/h
(140 knots)
|
915
|
|
Typhon
1
|
KOPPU
|
13
- 15 septembre
|
130
km/h
(70 knots)
|
975
|
|
Typhon
2
|
|
25
- 29 septembre
|
167
km/h
(90 knots)
|
960
|
|
Typhon
4
|
|
28
septembre -
14 octobre
|
241
km/h
(130 knots)
|
926
|
|
Typhon
5
|
|
29
septembre -
09 octobre
|
269
km/h
(145 knots)
|
914
|
|
Tempête
tropicale
|
NEPARTAK
|
08
- 13 octobre
|
93
km/h
(50 knots)
|
985
|
|
Typhon
4
|
|
14
- 26 octobre
|
250
km/h
(135 knots)
|
919
|
|
Typhon
2
|
|
27
octobre -
02 novembre
|
167
km/h
(90 knots)
|
956
|
|
Typhon
5
|
|
23
novembre -
04 décembre
|
296
km/h
(160 knots)
|
885
|
|
|
|
Saison
cyclonique 2008
|
|
|
Type
/ Classe
|
Nom
|
Date
|
Vents
knots
1 minute
|
Pression
en hPA
|
|
Typhon
3
|
|
13
- 19 avril
|
100
|
948
|
|
Typhon
4
|
|
06
- 13 mai
|
135
|
921
|
|
Tempête
tropicale
|
|
14
- 17 mai
|
40
|
992
|
|
Typhon
1
|
|
13
- 23 mai
|
75
|
966
|
|
Typhon
4
|
|
26
mai - 09 juin
|
125
|
929
|
|
Typhon
3
|
|
17
- 27 juin
|
110
|
940
|
|
Typhon
2
|
|
12
- 21 juillet
|
90
|
955
|
|
Typhon
2
|
|
23
- 30 juillet
|
95
|
951
|
|
Tempête
tropicale
|
|
03
- 08 août
|
50
|
985
|
|
Tempête
tropicale
|
PHANFOME
|
09
- 11 août
|
35
|
996
|
|
Tempête
tropicale
|
|
13
- 18 août
|
55
|
981
|
|
Typhon
3
|
|
17
- 23 août
|
100
|
948
|
|
Typhon
4
|
|
08
- 22 septembre
|
125
|
929
|
|
Typhon
4
|
|
18
- 25 septembre
|
125
|
929
|
|
Typhon
5
|
|
23
septembre - 02 octobre
|
145
|
914
|
|
Tempête
tropicale
|
|
28
- 30 septembre
|
55
|
981
|
|
Tempête
tropicale
|
|
29
septembre - 06 octobre
|
45
|
988
|
|
Tempête
tropicale
|
BAVI
|
18
- 25 octobre
|
50
|
985
|
|
Tempête
tropicale
|
MAYSAK
|
06
- 14 novembre
|
55
|
981
|
|
Tempête
tropicale
|
HAISHEN
|
15
- 21 novembre
|
40
|
992
|
|
Tempête
tropicale
|
NOUL
|
15
- 18 novembre
|
40
|
992
|
|
Typhon
2
|
|
02
- 19 décembre
|
90
|
955
|
|
|
|
Saison
cyclonique 2007
|
|
|
Type
/ Classe
|
Nom
|
Date
|
Vents
knots
1 minute
|
Pression
en hPA
|
|
Typhon
1
|
|
31
mars - 05 avril
|
90
|
960
|
|
Typhon
4
|
|
15
- 25 mai
|
125
|
935
|
|
Tempête
tropicale
|
|
04
- 05 juillet
|
35
|
996
|
|
Typhon
4
|
|
07
- 16 juillet
|
135
|
930
|
|
Typhon
4
|
|
28
juillet - 3 août
|
120
|
945
|
|
Typhon
1
|
|
05
- 09 août
|
65
|
975
|
|
Tempête
tropicale
|
|
07
- 09 août
|
40
|
990
|
|
Typhon
5
|
|
12
- 19 août
|
140
|
910
|
|
Typhon
2
|
|
28
août - 07 septembre
|
85
|
965
|
|
Tempête
tropicale
|
|
07
- 11 septembre
|
60
|
983
|
|
Typhon
4
|
|
12 - 16 septembre
|
120
|
940
|
|
Typhon
4
|
|
15
- 19 septembre
|
135
|
930
|
|
Tempête
tropicale
|
|
23
- 25 septembre
|
45
|
990
|
|
Typhon
1
|
|
30
septembre - 03 octobre
|
70
|
970
|
|
Typhon
4
|
|
01
-09 octobre
|
130
|
920
|
|
Tempête
tropicale
|
LINGLING
|
09
- 19 octobre
|
45
|
994
|
|
Typhon
3
|
|
19
- 21 octobre
|
125
|
945
|
|
Tempête
tropicale
|
FAXAI
|
24
- 31 octobre
|
55
|
980
|
|
Typhon
1
|
|
02
- 10 novembre
|
75
|
970
|
|
Typhon
2
|
|
18
- 28 novembre
|
85
|
970
|
|
Typhon
2
|
|
20
- 27 novembre
|
95
|
955
|
|
|
|
Saison
cyclonique 2006
|
|
|
Type
/ Classe
|
Nom
|
Date
|
Vents
knots
1 minute
|
Pression
en hPA
|
|
Typhon
4
|
|
08
- 18 mai
|
135
|
-
|
|
Tempête
tropicale
|
JELAWAT
|
26
- 29 juin
|
45
|
-
|
|
Typhon
4
|
|
29
juin - 12 juillet
|
130
|
920
|
|
Tempête
tropicale
|
|
08
- 15 juillet
|
60
|
970
|
|
Typhon
2
|
|
17
- 26 juillet
|
85
|
955
|
|
Typhon
1
|
|
31
juillet - 3 août
|
70
|
965
|
|
Typhon
5
|
|
04
- 10 août
|
140
|
925
|
|
Typhon
1
|
|
05
- 09 août
|
60
|
975
|
|
Tempête
tropicale
|
|
05
- 11 août
|
50
|
985
|
|
Tempête
tropicale
|
|
12
- 21 août
|
45
|
980
|
|
Tempête
tropicale
|
|
13 - 16 août
|
40
|
992
|
|
Typhon
5
|
|
20
août - 07 septembre
|
140
|
920
|
|
Typhon
4
|
|
09
- 22 septembre
|
120
|
925
|
|
Typhon
5
|
|
13
- 27 septembre
|
140
|
910
|
|
Typhon
4
|
|
25
septembre - 02 octobre
|
125
|
940
|
|
Tempête
tropicale
|
|
28
septembre - 06 octobre
|
45
|
990
|
|
Tempête
tropicale
|
|
02
- 06 octobre
|
45
|
985
|
|
Typhon
2
|
|
08
- 17 octobre
|
90
|
955
|
|
Typhon
5
|
|
26
octobre - 06 novembre
|
145
|
910
|
|
Typhon
4
|
|
08
- 14 novembre
|
125
|
925
|
|
Typhon
4
|
|
26
novembre- 07 décembre
|
135
|
915
|
|
Typhon
3
|
|
06
- 15 décembre
|
100
|
945
|
|
Tempête
tropicale
|
TRAMI
|
17
- 18 décembre
|
35
|
1000
|
|
|
|
Saison
cyclonique 2005
|
|
|
Type
/ Classe
|
Nom
|
Date
|
Vents
knots
1 minute
|
Pression
en hPA
|
|
Tempête
tropicale
|
KULAP
|
13
- 18 janvier
|
60
|
-
|
|
Typhon
1
|
|
13
- 17 mars
|
65
|
-
|
|
Typhon
4
|
|
20
- 26 mars
|
115
|
-
|
|
Typhon
4
|
|
30
mai - 10 juin
|
125
|
-
|
|
Typhon
5
|
|
11
- 19 juilllet
|
140
|
-
|
|
Tempête
tropicale
|
|
20
- 23 juillet
|
50
|
-
|
|
Tempête
tropicale
|
|
21
- 27 juillet
|
60
|
-
|
|
Tempête
tropicale
|
|
28
- 31 juillet
|
45
|
-
|
|
Typhon
2
|
|
31
juillet - 06 août
|
90
|
-
|
|
Typhon
1
|
|
10
- 13 août
|
65
|
-
|
|
Typhon
4
|
|
19
- 26 août
|
130
|
-
|
|
Tempête
tropicale
|
|
20
- 25 août
|
60
|
-
|
|
Typhon
4
|
|
26
août - 01 septembre
|
125
|
-
|
|
Typhon
5
|
|
29
août - 06 septembre
|
140
|
-
|
|
Typhon
4
|
|
05
- 11 septembre
|
115
|
-
|
|
Tempête
tropicale
|
|
16
- 18 septembre
|
40
|
-
|
|
Typhon
2
|
|
20
- 26 septembre
|
90
|
-
|
|
Typhon
2
|
|
21
- 27 septembre
|
90
|
-
|
|
Typhon
4
|
|
25
septembre - 02 octobre
|
130
|
-
|
|
Tempête
tropicale
|
|
03
- 03 octobre
|
25
|
-
|
|
Typhon
4
|
|
10
- 19 octobre
|
125
|
-
|
|
Typhon
2
|
|
28
octobre - 02 novembre
|
90
|
-
|
|
Tempête
tropicale
|
|
07
- 11 novembre
|
45
|
-
|
|
Typhon
1
|
|
13
- 20 novembre
|
75
|
-
|
|
|
|
Saison
cyclonique 2004
|
|
|
Type
/ Classe
|
Nom
|
Date
|
Vents
knots
1 minute
|
Pression
en hPA
|
|
Typhon
4
|
SUDAL
|
04
- 15 avril
|
130
|
-
|
|
Typhon
5
|
NIDA
|
13
- 21 mai
|
140
|
-
|
|
Typhon
1
|
OMAIS
|
17
- 22 mai
|
65
|
-
|
|
Typhon
2
|
CONSON
|
04
- 11 juin
|
95
|
-
|
|
Typhon
1
|
CHANTHU
|
09
- 13 juin
|
75
|
-
|
|
Typhon
5
|
|
13
- 21 juin
|
155
|
-
|
|
Typhon
4
|
|
23
juin - 04 juillet
|
125
|
-
|
|
Typhon
1
|
|
25
juin - 03 juillet
|
80
|
-
|
|
Tempête
tropicale
|
KOMPASU
|
13
- 16 juillet
|
45
|
-
|
|
Typhon
4
|
NAMTHEUN
|
25
juillet - 01 août
|
115
|
-
|
|
Dépression
tropicale
|
MALOU
|
04
- 05 août
|
30
|
-
|
|
Typhon
2
|
MERANTI
|
03
- 08 août
|
90
|
-
|
|
Typhon
2
|
RANANIM
|
07
- 13 août
|
90
|
-
|
|
Tempête
tropicale
|
MALAKAS
|
10
- 12 août
|
35
|
-
|
|
Typhon
1
|
MEGI
|
14
- 19 août
|
65
|
-
|
|
Typhon
5
|
CHABA
|
18
- 31 août
|
155
|
-
|
|
Typhon
2
|
AERE
|
19
- 26 août
|
85
|
-
|
|
Typhon
4
|
|
27
août - 07 septembre
|
130
|
-
|
|
Tempête
tropicale
|
SARIKA
|
04
- 07 septembre
|
60
|
-
|
|
Dépression
tropicale
|
HAIMA
|
12
- 13 septembre
|
30
|
-
|
|
Typhon
4
|
|
20
- 29 septembre
|
120
|
-
|
|
Typhon
5
|
MA-ON
|
04
- 09 octobre
|
140
|
-
|
|
Typhon
4
|
|
12
- 20 octobre
|
125
|
-
|
|
Typhon
3
|
NOCKTEN
|
14
- 26 octobre
|
110
|
-
|
|
Typhon
4
|
|
14
- 26 novembre
|
115
|
-
|
|
Typhon
4
|
NANMADOL
|
28
novembre - 03 décembre
|
130
|
-
|
|
Tempête
tropicale
|
TALAS
|
10
- 19 décembre
|
45
|
-
|
|
Tempête
tropicale
|
NORU
|
17
- 21 décembre
|
55
|
-
|
|
|
|
Saison
cyclonique 2003
|
|
|
Type
/ Classe
|
Nom
|
Date
|
Vents
knots
1 minute
|
Pression
en hPA
|
|
Tempête
tropicale
|
YANYANP
|
18
- 21 janvier
|
50
|
-
|
|
Typhon
4
|
KUJIRA
|
09
- 25 avril
|
130
|
-
|
|
Typhon
4
|
CHAN_
HOM
|
19
- 27 mai
|
115
|
-
|
|
Tempête
tropicale
|
LINFA
|
25
- 30 mai
|
60
|
-
|
|
Tempête
tropicale
|
NANGKA
|
01
- 03 juin
|
50
|
-
|
|
Typhon
4
|
SOUDELOR
|
11
- 19 juin
|
115
|
-
|
|
Typhon
4
|
IMBUDO
|
16
- 24 juillet
|
130
|
-
|
|
Typhon
1
|
KONI
|
18
- 22 juillet
|
65
|
-
|
|
Typhon
1
|
MORAKOT
|
01
- 06 août
|
65
|
-
|
|
Typhon
3
|
ETAU
|
03
- 09 août
|
110
|
-
|
|
Tempête
tropicale
|
VAMCO
|
19
- 20 août
|
35
|
-
|
|
Typhon
2
|
KROVANH
|
15
- 25 août
|
90
|
-
|
|
Typhon
4
|
DUJUAN
|
30
août - 03 septembre
|
125
|
-
|
|
Typhon
5
|
MAEMI
|
05
- 13 septembre
|
150
|
-
|
|
Typhon
2
|
CHOI-WAN
|
17 - 22 septembre
|
95
|
-
|
|
Tempête
tropicale
|
MARTY
|
19
- 19 septembre
|
40
|
-
|
|
Typhon
1
|
KOPPU
|
24
- 30 septembre
|
80
|
-
|
|
Typhon
4
|
KETSANA
|
18
- 26 octobre
|
125
|
-
|
|
Typhon
4
|
PARMA
|
20-
31 octobre
|
130
|
-
|
|
Typhon
1
|
MELOR
|
30
octobre - 04 novembre
|
75
|
-
|
|
Typhon
1
|
NEPARTAK
|
13
- 19 novembre
|
75
|
-
|
|
Typhon
5
|
LUPIT
|
19
novembre - 01 décembre
|
145
|
-
|
|
|
|